Nos preocupa tu privacidadEn pisos.com utilizamos cookies propias y de terceros para dar un servicio satisfactorio mediante cookies técnicas, de personalización y para fines analíticos. pulsa AQUÍ para más información. Puedes aceptar todas las cookis pulsando el botón "aceptar" o configurarlas o rechazar su uso pulsando
Mensaje enviado con éxito En breve nos pondremos en contacto.
Ha ocurrido un error. Inténtelo de nuevo más tarde.
Recomendar a un amigo
Mensaje enviado con éxito
Ha ocurrido un error. Inténtelo de nuevo más tarde.
Ref. TSLCS00167
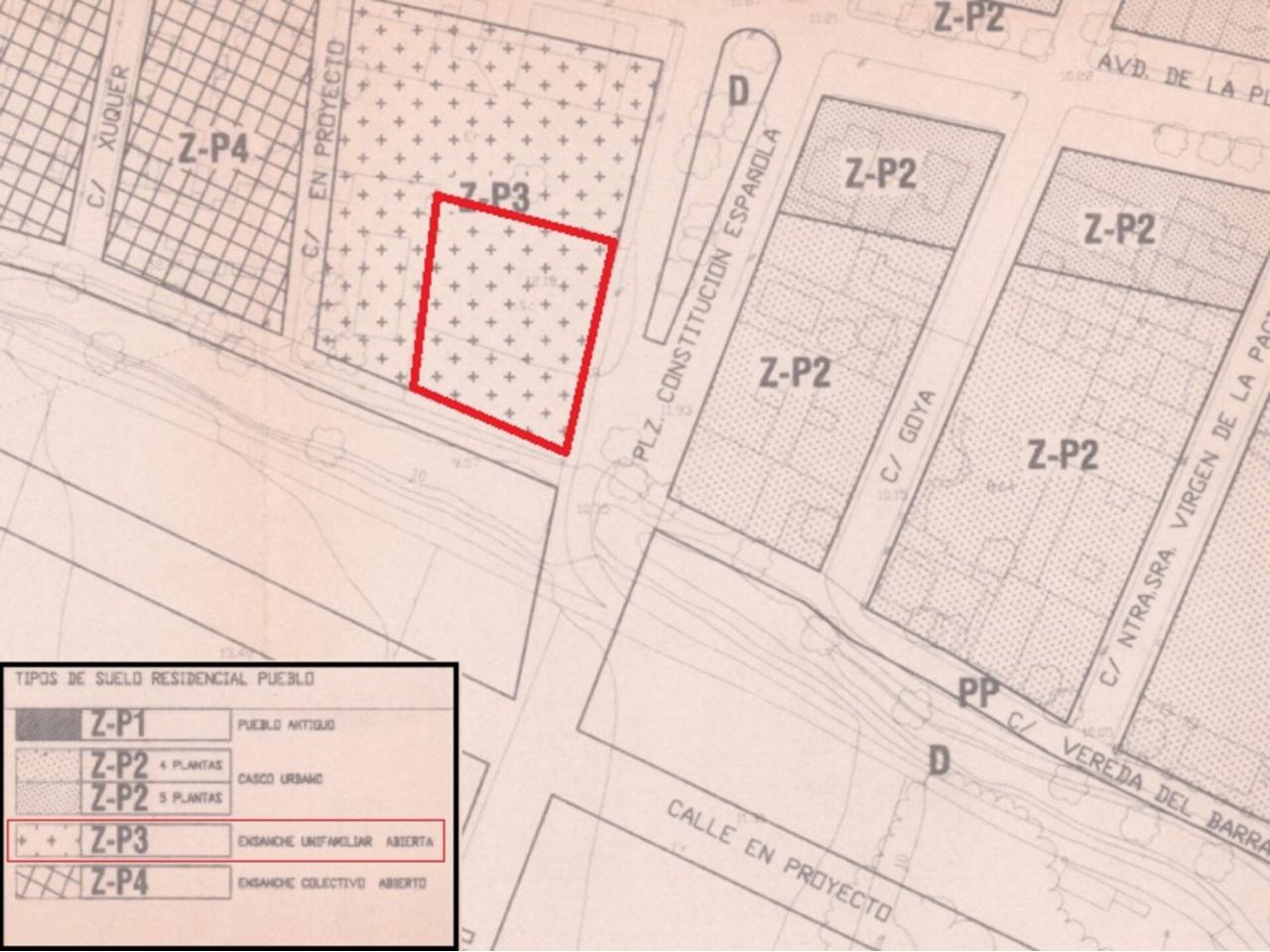
Suelo urbano residencial en Oropesa del Mar, en zona residencial con todo tipo de servicios cercanos, bien comunicada mediante la N-340 y A-7 y a 1 Km. de la Platja de Morro de Gos. Cuenta con 1.184 m2 de suelo con una edificabilidad de 947 m2 de techo sobre rasante. Ocupación: 40%. Número alturas: B+I. Retranqueos: 3 m. a lindes (excepto a vial que se permite alineación a fachada) y 6 m. entre edificios de la misma parcela. Para la posible promoción de 3 viviendas unifamiliares aisladas. Oportunidad.
Suelo urbano residencial en Oropesa del Mar, en zona residencial con todo tipo de servicios cercanos, bien comunicada mediante la N-340 y A-7 y a 1 Km. de la Platja de Morro de Gos. Cuenta con 1.184 m2 de suelo con una e...
Suelo urbano residencial en Oropesa del Mar, en zona residencial con todo tipo de servicios cercanos, bien comunicada mediante la N-340 y A-7 y a 1 Km. de la Platja de Morro de Gos. Cuenta con 1.184 m2 de suelo con una edificabilidad de 947 m2 de techo sobre rasante. Ocupación: 40%. Número alturas: B+I. Retranqueos: 3 m. a lindes (excepto a vial que se permite alineación a fachada) y 6 m. entre edificios de la misma parcela. Para la posible promoción de 3 viviendas unifamiliares aisladas. Oportunidad.