Nos preocupa tu privacidadEn pisos.com utilizamos cookies propias y de terceros para dar un servicio satisfactorio mediante cookies técnicas, de personalización y para fines analíticos. pulsa AQUÍ para más información. Puedes aceptar todas las cookis pulsando el botón "aceptar" o configurarlas o rechazar su uso pulsando
Solar
en venta
en Calle
Padre Estanislao de Algimia
186.300 €
¡Ha bajado 12.200€!
723 m2
Contactar
Massamagrell
Solar
186.300 €
¡Ha bajado 12.200€!
0 HabitacionesHabs- 0 Baños- 723 m2
Mensaje enviado con éxito En breve nos pondremos en contacto.
Ha ocurrido un error. Inténtelo de nuevo más tarde.
Recomendar a un amigo
Mensaje enviado con éxito
Ha ocurrido un error. Inténtelo de nuevo más tarde.
Ref. TSLV14231
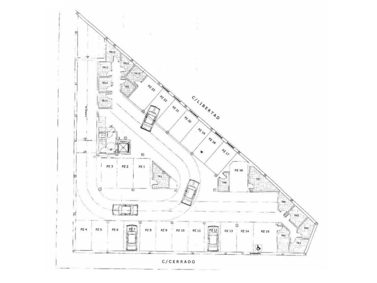
Suelo urbano residencial en Masamagrell, ubicado en el Barrio de la Magdalena, en zona residencial con todo tipo de servicios cercanos, bien comunicada mediante la CV-32 y a 5 min. de coche de la parada de metro de Masamagrell y a 15 min. de Valencia. Cuenta con 723 m2 de suelo con fachada a dos calles y una edificabilidad de 2.137 m2 de techo sobre rasante. Ocupación: 100%. Número alturas: B+II. Para la promoción de 23 viviendas con garaje y trastero. Con División horizontal inscrita. Oportunidad.
Suelo urbano residencial en Masamagrell, ubicado en el Barrio de la Magdalena, en zona residencial con todo tipo de servicios cercanos, bien comunicada mediante la CV-32 y a 5 min. de coche de la parada de metro de Masam...
Suelo urbano residencial en Masamagrell, ubicado en el Barrio de la Magdalena, en zona residencial con todo tipo de servicios cercanos, bien comunicada mediante la CV-32 y a 5 min. de coche de la parada de metro de Masamagrell y a 15 min. de Valencia. Cuenta con 723 m2 de suelo con fachada a dos calles y una edificabilidad de 2.137 m2 de techo sobre rasante. Ocupación: 100%. Número alturas: B+II. Para la promoción de 23 viviendas con garaje y trastero. Con División horizontal inscrita. Oportunidad.